U gebruikt een verouderde internetbrowser.
We raden u aan om de meest recente internetbrowser te installeren voor de beste weergave van deze website.
Een internetbrowser die up to date is, staat ook garant voor veilig surfen.

Alfons Leroystraat 2, 3530 Houthalen-Helchteren
Vraagprijs: € 398.245

Omschrijving

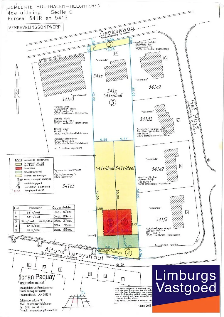
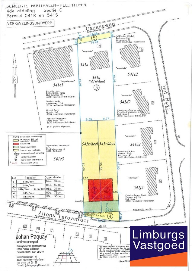
Nieuwbouwwoning, halfopen bebouwing, LOT 2, voor halfopen bebouwing, 4a 89ca, te Houthalen-Helchteren

Energiezuinige nieuwbouwwoning met 3 slpks op een perceel van 4a 89ca, rustig gelegen in een residentiële woonwijk, met een vlotte verbinding naar omliggende gemeentes, doch nabij scholen, winkels, en andere faciliteiten. Het perceel betreft lot 2 van het verkavelingsplan. Bewoonbare oppervlakte: 136 m².
Prijs reeds inclusief aankoop bouwgrond! Prijs exclusief kosten, BTW en registratierechten.
Bestuursmaatregelen in het maatregelenregister: nee

INDELING WONING: GELIJKVLOERS: Inkomhal met apart toilet, berging, en een open leefruimte met keuken met een prachtig uitzicht op achterliggende tuin.
EERSTE VERDIEPING: 3 ruime slaapkamers; een badkamer met aansluitende berging.

Afwerking woning: Ruwbouw winddicht, Sanitaire leidingen (inclusief hergebruik van regenwater), Elektriciteit,
warmtepomp, Pleisterwerken, Isolatiewerken en chape, EPB berekening, Ventilatiesysteem D+, Kostprijs architect en veiligheidscoördinatie inclusief Zonnepanelen, keuken, Sanitaire toestellen, Tegelvloeren in de volledige woning, Binnendeuren in tubespaan, reeds voor geschilderd, Voegwerken.

Het perceel heeft een straatbreedte van 10m en -diepte van 50m. Mogelijkheid tot het bouwen van een open bebouwing met een façade van ong. 7m en een diepte van 17m (gelijkvloers), en 12m (eerste verdiep). Afstand van zijdelingse perceelsgrens is 3m. Bouwhoogte: maximaal 2 bouwlagen onder de kroonlijst.

Wij realiseren dit project in samenwerking met AVL Woningbouw. De afbeeldde render van de woning is een voorbeeld. Onder voorbehoud van het verkrijgen van een omgevingsvergunning.
Details verkavelingsvoorschriften te raadplegen via limburgsvastgoed.be.

Voor meer info bel Jeff op 0472/04.26.49 of 011/22.19.17 - jeff@limburgsvastgoed.be of limburgsvastgoed.be


Kenmerken

Algemeen

Adres:Alfons Leroystraat 2
Houthalen-Helchteren
Referentie:JD-110326
Vraagprijs:€ 398.245
Type:Woning
Beschikbaar vanaf:Bij oplevering
Perceeloppervlakte:489 m²
Perceelbreedte:980 m
Perceeldiepte:50 m
Bewoonbare opp.:136 m²
Type constructie:Traditioneel
Gevelbreedte:6,79 m

Indeling

Slaapkamers:3
Badkamers:1
WC:2
Woonkamer:Ja
Keuken:Ja
Berging:Ja
Tuin:Ja

Kadastrale gegevens

Kadastrale Oppervlakte:489 m²

Informatieplicht

Conformiteitsattest:Ja
Informatieplicht overstromingsgevaar:Ja
Stedenbouwkundige vergunning:Neen
Voorkooprecht:Neen
Verkavelingsvergunning van toepassing:Ja
Stedenbouwkundige bestemming:Woongebied
Dagvaarding en herstelvordering:Geen rechterlijke herstelmaatregel of bestuurlijke maatregel opgelegd
Overstromingsgevoelig:Geen overstromingsgevoelig gebied
Overstromingsgebied:Geen afgebakende zones
Overstromingskans perceel (P-score):A
Overstromingskans gebouw (G-score):A
Erfgoed:Niet meegedeeld

Ligging

Streetview

Graag een afspraak of vragen?

Vul onderstaand formulier in en wij contacteren u zo snel mogelijk.


U moet akkoord gaan met het privacybeleid van deze website
* Verplicht in te vullen

Jeff Drieskens

Jeff is een gedreven en resultaatgerichte persoon die steeds de belangen van zijn klanten voorop stelt. Met zijn 'hands-on' mentaliteit, empathisch vermogen en onderhandelingsskils is hij uw gedroomde partner doorheen uw vastgoed verhaal. Door zijn toewijding en persoonlijke benadering bouwt Jeff duurzame relaties op met zijn klanten, gebaseerd op vertrouwen en transparantie. Kort samengevat een geboren bemiddelaar met passie voor vastgoed! Als fiere Genkenaar kan je Jeff wel eens tegenkomen in één van de vele culinaire adresjes dat Genk te bieden heeft. In zijn vrije tijd vind je hem vaak terug in de Padelclub "Winterslag" – “Een gezonde geest in een gezond lichaam!”

Wilt u het beste voor U en uw eigendom? Plan dan nu een gratis waardebepaling in of een persoonlijk gesprek voor een begeleiding op maat van uw vastgoedtransacties. 
0472/04.26.49

NIET GEVONDEN WAT U ZOCHT?

Schrijf u dan vrijblijvend in en blijf als allereerste op de hoogte van nieuwe panden die voldoen aan uw zoekcriteria.
Schrijf u in
Terug naar boven
Sluit menu Limburgs Vastgoed