U gebruikt een verouderde internetbrowser.
We raden u aan om de meest recente internetbrowser te installeren voor de beste weergave van deze website.
Een internetbrowser die up to date is, staat ook garant voor veilig surfen.

Alfons Leroystraat 2, 3530 Houthalen-Helchteren
Vraagprijs: € 149.000

Omschrijving

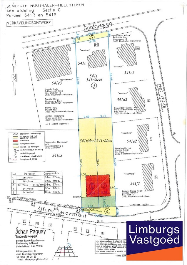
Bouwgrond, LOT 2, voor halfopen bebouwing, 4a 89ca, te Houthalen-Helchteren

Mooi perceel bouwgrond, zijnde LOT 2 op het verkavelingsplan, bestemd voor een half-open bebouwing met een opp. van 4a89ca te Houthalen-Helchteren. Deze grond is centraal gelegen met een vlotte verbinding naar omliggende gemeentes, doch nabij scholen, winkels, E314 en andere faciliteiten zoals apotheek, dokter, kinderopvang... Houthalen-centrum is bereikbaar op een 5-tal minuten.

Het perceel heeft een straatbreedte van ongeveer 10m en -diepte van ongeveer 50m. Mogelijkheid tot het bouwen van een halfopen bebouwing met een façade van ong. 7m en een diepte van maximum 17m (gelijkvloers), en 12m (verdieping). Maximum 2 volwaardige bouwlagen. Er dient verplicht een garage (ingebouwd of vrijstaand) of carport voorzien te worden, hetzij een open carport in de bouwvrije zijtuinstrook tussen de woning en de zijdelingse perceelsgrens mits akkoord van de aanpalende eigenaar.

Perceelscore: A.
Verkavelingsvoorschriften te bekomen na aanvraag.
Bestuursmaatregelen in het maatregelenregister: nee

Voor meer info bel Jeff op 0472/04.26.49 of 011/22.19.17 - jeff@limburgsvastgoed.be of limburgsvastgoed.be


Kenmerken

Algemeen

Adres:Alfons Leroystraat 2
Houthalen-Helchteren
Referentie:JD-2701262
Vraagprijs:€ 149.000
Type:Grond
Beschikbaar vanaf:Bij akte
Perceeloppervlakte:489 m²
Perceelbreedte:980 m
Perceeldiepte:50 m
Type constructie:Traditioneel
Gevelbreedte:6,79 m

Indeling

Tuin:Ja

Kadastrale gegevens

Kadastrale Oppervlakte:489 m²

Informatieplicht

Conformiteitsattest:Ja
Informatieplicht overstromingsgevaar:Ja
Onroerend erfgoed:Ja
Stedenbouwkundige vergunning:Neen
Voorkooprecht:Neen
Verkavelingsvergunning van toepassing:Ja
Stedenbouwkundige bestemming:Woongebied
Dagvaarding en herstelvordering:Geen rechterlijke herstelmaatregel of bestuurlijke maatregel opgelegd
Overstromingsgevoelig:Geen overstromingsgevoelig gebied
Overstromingsgebied:Geen afgebakende zones
Overstromingskans perceel (P-score):A
Overstromingskans gebouw (G-score):A
Erfgoed:Niet meegedeeld

Ligging

Streetview

Graag een afspraak of vragen?

Vul onderstaand formulier in en wij contacteren u zo snel mogelijk.


U moet akkoord gaan met het privacybeleid van deze website
* Verplicht in te vullen

Jeff Drieskens

Jeff is een gedreven en resultaatgerichte persoon die steeds de belangen van zijn klanten voorop stelt. Met zijn 'hands-on' mentaliteit, empathisch vermogen en onderhandelingsskils is hij uw gedroomde partner doorheen uw vastgoed verhaal. Door zijn toewijding en persoonlijke benadering bouwt Jeff duurzame relaties op met zijn klanten, gebaseerd op vertrouwen en transparantie. Kort samengevat een geboren bemiddelaar met passie voor vastgoed! Als fiere Genkenaar kan je Jeff wel eens tegenkomen in één van de vele culinaire adresjes dat Genk te bieden heeft. In zijn vrije tijd vind je hem vaak terug in de Padelclub "Winterslag" – “Een gezonde geest in een gezond lichaam!”

Wilt u het beste voor U en uw eigendom? Plan dan nu een gratis waardebepaling in of een persoonlijk gesprek voor een begeleiding op maat van uw vastgoedtransacties. 
0472/04.26.49

NIET GEVONDEN WAT U ZOCHT?

Schrijf u dan vrijblijvend in en blijf als allereerste op de hoogte van nieuwe panden die voldoen aan uw zoekcriteria.
Schrijf u in
Terug naar boven
Sluit menu Limburgs Vastgoed